هاواي-سانا
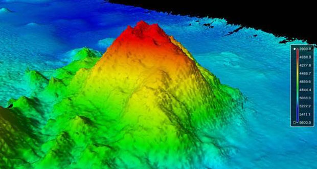
اكتشف العلماء في قاع المحيط الهادئ الذي يبلغ عمقه 5100 متر جبلاً عملاقاً يبلغ ارتفاعه حوالي 1100 متر.
وتم اكتشاف الجبل في منتصف شهر آب الماضي على بعد نحو 6200 كيلومتر جنوب هاواي بواسطة فريق بحث قاده عالم من جامعة نيو هامبشاير يدعى جيمس غاردنر.
والمفارقة تكمن في أن اكتشاف هذا الجبل جاء اثناء محاولة الفريق رسم خريطة دقيقة للحدود الخارجية للقارة الأمريكية.
وكان العالم غاردنر وفريق البحث العلمي مسحوا واحداً من الأجزاء الأكثر غموضا في مركز المحيط الهادئ والواقع على بعد حوالي 300 كيلومتر جنوب شرق جزيرة غارفيس غير المأهولة.
ويشير العلماء بحسب ما نقل موقع روسيا اليوم إلى أنهم لم يتمكنوا بعد من تحديد ورسم خرائط هذه الجبال البحرية التي تعد شائعة جداً حيث تقدم البعثات بأدوات تقنية متقدمة حلولاً للمشكلات التي يسببها الاعتماد على بيانات الأقمار الصناعية ذات الدقة المنخفضة والتي لا يمكنها أن تظهر العديد من الجبال البحرية بهذا الحجم في قاع المحيطات.
S A N A الوكالة العربية السورية للأنباء
